中新网7月8日电 据中央气象台网站消息,中央气象台最新预报,今年第8号台风“玛莉亚”加速奔袭,将于7月11日(下周三)前后登陆我国浙闽沿海,预计登陆时强度将为强台风或台风级别(12~14级)。气象专家提醒,台湾、福建、浙江、江西等地要提早做好防台准备,这也将是今年继第4号台风“艾云尼”之后第二个登陆我国的台风。

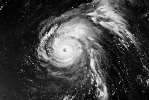
台风“玛莉亚”7月4日20时在美国关岛附近的洋面上生成,在不到两天的时间内迅速加强为超强台风级,鼎峰时中心附近最大风力达到58米/秒,目前最大风力16级(52米/秒)。由于影响台风路径的副热带高压十分强盛,因此“玛莉亚”登陆我国已成定局,不过对于具体登陆地点还存在一定的不确定性。
预计,“玛莉亚”将以20~25公里的速度向西偏北方向移动,于11日早晨前后登陆或擦过台湾岛东北部,并于11日白天在福建中部到浙江南部一带沿海再次登陆(台风级或强台风级,12~14级,33~42米/秒),登陆后继续向西北方向移动,强度快速减弱。
需要注意的是,超强台风“玛莉亚”目前七级风圈半径280~450公里,十级风圈半径100~120公里,在台风家族中属于体格较大的台风,其对我国海域的影响将从9日夜间开始。

预计9日至11日,台湾以东洋面、东海中南部海面、台湾海峡以及台湾岛、福建和浙江等地沿海地区自东向西风力逐渐加大到8~11级,“玛莉亚”中心经过的附近海面和地区的风力有12~15级,阵风达16~17级。
10日夜间至12日,台湾岛、福建、浙江南部和沿海、江西中南部等地将先后有大到暴雨,台湾岛中北部、福建中部和沿海、浙江沿海有大暴雨、局地特大暴雨,部分地区累计降水量有100~200毫米,局地可达250~350毫米。

气象专家提醒,目前正值暑假,也是旅游外出的旺季,提醒需要前往台湾、福建、浙江、江西等地的公众要注意安全,合理调整行程,避免前往上述地区的山区、岛屿或沿海景区,相关部门人员也需做好安全管理和避险转移等工作。
据气象专家介绍,根据历年的台风统计,7月影响我国的台风中,与“玛莉亚”比较相似的台风多数都有二次登陆的经历。其中2013年的7号台风“苏力”先后登陆台湾岛和福建,登陆福建连江时强度为台风级(12级)。受其影响,台湾、福建、浙江、江西等地出现强风雨天气,部分地区降水量达100~300毫米,台湾岛累计降雨量超900毫米。“苏力”造成上述省份200多万人受灾,直接经济损失超30亿元。



×